October 28, 2025
1 min read
Hurricane Melissa Images Reveal a Monster Storm for the Record Books
These images of Hurricane Melissa show the Category 5 storm in all its power
Cooperative Institute for Research in the Atmosphere, Colorado State University/National Oceanic and Atmospheric Administration
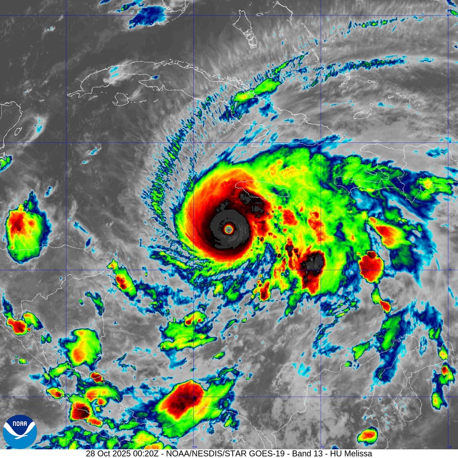
With maximum sustained winds of 185 miles per hour as it batters the Caribbean island of Jamaica on Tuesday, Hurricane Melissa is a beast of a storm. Satellite and other images starkly illustrate Melissa’s monstrosity, from its rapid intensification to the sheer power of the convection at its core. Here’s an inside look at one of the strongest storms to ever make landfall in the Atlantic since recordkeeping began.

Melissa’s cold cloud tops underscore the storm’s strength. The engine at the heart of any tropical cyclone is the convection powered by the temperature difference between the warm sea surface and the cold atmosphere at the top of the storm, where air flows out.
On supporting science journalism
If you’re enjoying this article, consider supporting our award-winning journalism by subscribing. By purchasing a subscription you are helping to ensure the future of impactful stories about the discoveries and ideas shaping our world today.

Lt. Col. Mark Withee, U.S. Air Force
On October 27 a crew from the Air Force’s “Hurricane Hunters,” or 53rd Weather Reconnaissance Squadron, flies through Hurricane Melissa to collect information for the National Hurricane Center.

Lt. Col. Mark Withee, U.S. Air Force
The calm, clear eye of Melissa appears with the “stadium effect” of the clouds in the eye wall—where the strongest winds are—as seen from the Hurricane Hunters aircraft.

Another view shows Melissa’s central eye, which looks like a textbook eye for a strong hurricane.

Lightning flashes in the eye wall of Category 5 Melissa are a marker of how strong the storm is. It reached a central pressure of 892 millibars, among the lowest ever recorded in the Atlantic Ocean. It is tied as the third most intense Atlantic storm with the devastating 1935 Labor Day hurricane.

Hurricane Melissa swirls above the Caribbean Sea in fading sunlight on October 26.
It’s Time to Stand Up for Science
If you enjoyed this article, I’d like to ask for your support. Scientific American has served as an advocate for science and industry for 180 years, and right now may be the most critical moment in that two-century history.
I’ve been a Scientific American subscriber since I was 12 years old, and it helped shape the way I look at the world. SciAm always educates and delights me, and inspires a sense of awe for our vast, beautiful universe. I hope it does that for you, too.
If you subscribe to Scientific American, you help ensure that our coverage is centered on meaningful research and discovery; that we have the resources to report on the decisions that threaten labs across the U.S.; and that we support both budding and working scientists at a time when the value of science itself too often goes unrecognized.
In return, you get essential news, captivating podcasts, brilliant infographics, can’t-miss newsletters, must-watch videos, challenging games, and the science world’s best writing and reporting. You can even gift someone a subscription.
There has never been a more important time for us to stand up and show why science matters. I hope you’ll support us in that mission.
